Skip to main navigation Skip to main content Skip to page footer

Spendenaufruf Notfälle Nordgriechenland

Wer kann uns unterstützen?

Für die medizinische Versorgung von mehreren Notfalltieren in Veria/Nordgriechenland brauchen wir Ihre Hilfe. Ein weiteres Warten auf Versorgung war nicht vertretbar und wir sagten finanzielle Unterstützung zu, um die Tiere umgehend medizinisch versorgen lassen zu können. 

Insgesamt sind Kosten über 2000,- Euro zusammen gekommen

Update

- Spendenziel erreicht -

Update Notfälle Nordgriechenland

Spendenziel erreicht

Mit großer Freude und tiefer Dankbarkeit möchte ich mich bei Ihnen für Ihre großartige Unterstützung bedanken. Wir haben das Spendenziel erreicht und werden die Spenden für unsere Notfälle vor Ort verwenden. Sie sind sicherlich neugierig, wie es…

Sie möchten wissen, wem Sie helfen?

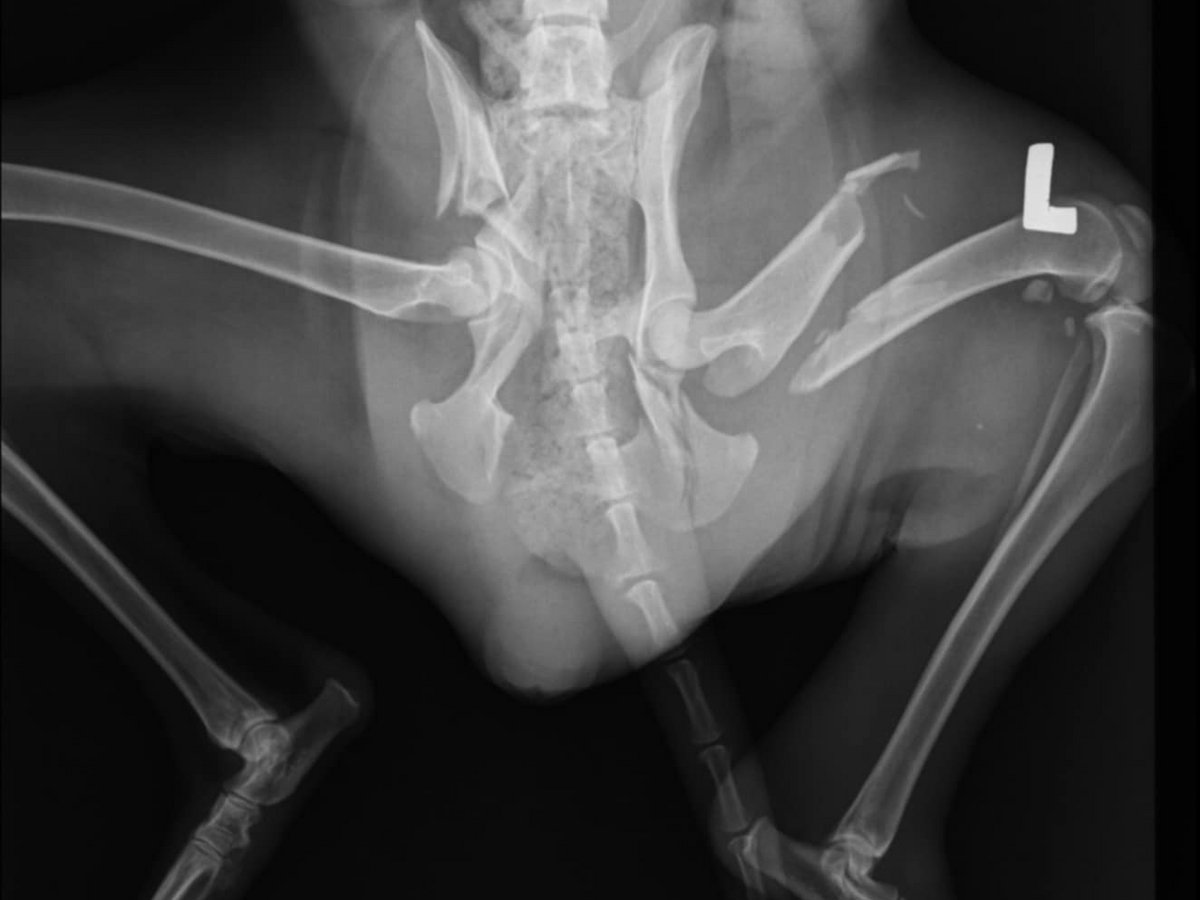
Jagdhündin "Hedda“:

Beckenbruch und Oberschenkelbruch. Sie wurde zur Operation nach Thessaloniki gebracht und hat den Eingriff gut überstanden. Sie muss in den nächsten Wochen noch gut gepäppelt werden, denn ihr Allgemeinzustand ist nicht der Beste. 

"Angel“:

Er zeigte Episoden mit hochgradiger Atemnot. Mehrere Röntgenaufnahmen, Ultraschall, Blutuntersuchungen und Medikamente waren erforderlich.
 

"Milla“:

Hochgradige Flüssigkeitsansammlung in der Bauchhöhle aufgrund einer Herzwurmerkrankung. Wir werden Milla übernehmen und ihr alle erforderlichen Therapien zukommen lassen. Sie soll nie mehr in diese Situation kommen müssen. 
 

"Hundeopi“:

Er wurde mit hochgradig vereiterten Augen eingeliefert. Er konnte nichts mehr sehen. Seine Augen produzieren nicht mehr genug Tränenflüssigkeit, so dass er langfristig spezielle Augensalben benötigt, die gut, aber nicht ganz billig sind. Eine ältere Dame wird ihn zur Pflege aufnehmen und ihm die Augensalben verabreichen.

"Alekos“:

Er musste wegen einer Magendrehung notoperiert werden. Die Kosten in der Tierarztpraxis betragen 500,- Euro. 

"Joker“:

Joker und einige andere Hunde: sie sind an Leishmaniose erkrankt und brauchen Milteforan zur Behandlung. Joker musste zusätzlich wegen einer Tetanuserkrankung einige Tage stationär betreut werden.

"Clio":

Massive Räude und Herzwurm positiv. Sie benötigt in den kommenden Monaten eine intensive Therapie.

Bitte helfen Sie uns, so dass wir weiterhin effektiv Tieren in Not helfen können. Gerne mit dem Kennwort „Notfalltiere Veria“ spenden, dann können wir Ihre Spende direkt zuordnen.

Herzlichen Dank im Namen von Hedda, Angel, Milla und all den anderen Schützlingen!

Förderverein Arche Noah Kreta e. V. / Tierärztepool
Institut: Commerzbank Lübeck
IBAN: DE02 2304 0022 0020 9239 00
BIC: COBADEFFXXX
Kennwort: Notfalltiere Veria

PayPal-Spendenlink: www.paypal.com/donate/

Jetzt spenden!